Opis i cechy

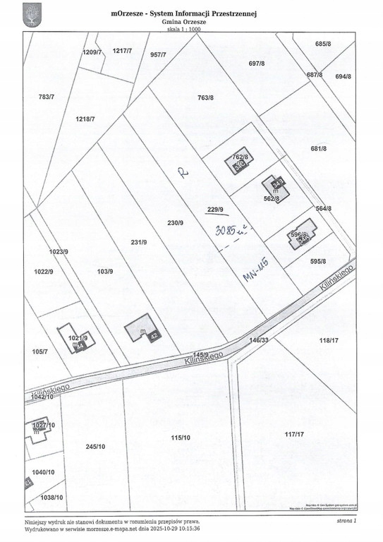
Działka, Orzesze, Mikołowski, 3085 m²

Ogłoszeniodawca: Nieruchomości MIKOKontakt: Anna Adamus Informacje szczegółowe

Typ działki: budowlana

Forma własności: własność

Dostępne od: 2025-10-29

Tytuł ogłoszenia: Działka rolno-budowlana w Orzeszu 3085m2

Nr oferty ogłoszeniodawcy: 01/10/25/

DZUlica: Kilińskiego

Pow. działki: 3085.00 m²

Długość działki: 128.00 m²

Szerokość działki: 24.00 m²

Typ rynku: Wtórny

Mediagaz (brak)kanalizacja (szambo)woda (miejskie)

Udogodnieniadostęp do drogi (asfaltowa/betonowa)ogrodzenie (brak)

Oferujemy do sprzedaży działkę rolno-budowlaną w Orzeszu Gardawicach przy ulicy Killińskiego o pow. 3085m2. O wymiarach 24x128. Działka w kształcie prostokąta, pusta, nieogrodzona, media w drodze: prąd, woda, szambo, gaz w trakcie projektowania.

W części około 1135m2 to działka budowlana o symbolu MN jako tereny mieszkaniowe a reszta tj ok 1835m2 to tereny o symbolu Z8 i RZ02 jako tereny zielone.

Oferta skierowana dla osób chcących mieć duże miejsce do odpoczynku i rekreacji a w przyszłości możliwość przekształcenia reszty terenu na budowlany.

Polecam i zapraszam do obejrzenia ! Atrakcyjna cena ! Możliwość dokupienia działki obok.

Nr oferty w biurze: 01/10/25/

DSTel do osoby prowadzącej:   504 222 975; 32 790 53 88

POWYŻSZA OFERTA NIE STANOWI OFERTY W ROZUMIENIU PRZEPISÓW KODEKSU CYWILNEGO - MA TYLKO CHARAKTER INFORMACYJNY.

CENA NIERUCHOMOŚCI NIE ZAWIERA OPŁAT NOTARIALNYCH, OPŁATY SĄDOWEJ, US, USŁUGI POŚREDNICTWA ITP.

NASZYM KLIENTOM POMAGAMY W UZYSKANIU KREDYTÓW GOTÓWKOWYCH, KONSOLIDACYJNYCH, FIRMOWYCH I HIPOTECZNYCH. MOBILNI DORADCY KREDYTOWI.

Lokalizacja:

Kraj: Polska

Wojewodztwo: Śląskie

Powiat: Mikołowski (pow.)

Miejscowosc: Orzesze

Ulica: Kilińskiego(ref. A1541444635)

Powierzchnia 3085 m²
Cena za m² 81 zł
Ogrodzenie brak
Droga dojazdowa asfaltowa lub betonowa
Media prąd, siła
Typ działki budowlana
Kanalizacja szambo
Szerokość 24 m
Długość 128 m
Zgłoś naruszenie zasad
Oferta: e205e45f-3302-4b23-936f-8e49f6e69b59

Podobne wyszukiwania

Działki na sprzedaż Warszawa  
(712)
Działki na sprzedaż Lublin  
(118)
Działki na sprzedaż Jaktorów  
(84)
Działki na sprzedaż Kielce  
(78)
Działki na sprzedaż Grodzisk Mazowiecki  
(72)
Działki na sprzedaż Sosnowiec  
(72)
Działki na sprzedaż Gliwice  
(64)
Działki na sprzedaż Ustroń  
(63)
Działki na sprzedaż Jelenia Góra  
(47)
Działki na sprzedaż Opole  
(44)
Działki na sprzedaż Łochowo  
(42)
Działki na sprzedaż Gryfice  
(37)
Działki na sprzedaż Mysłowice  
(36)
Działki na sprzedaż Nowy Targ  
(31)
Działki na sprzedaż Brwinów  
(31)
Działki na sprzedaż Adamów-Wieś  
(30)
Działki na sprzedaż Skierniewice  
(30)
Działki na sprzedaż Zgierz  
(29)
Działki na sprzedaż Stargard  
(29)
Działki na sprzedaż Mikołów  
(28)
Działki na sprzedaż Pępowo  
(28)
Działki na sprzedaż Harsz  
(28)
Działki na sprzedaż Tczew  
(28)
Działki na sprzedaż Tarnowo Podgórne  
(28)
Działki na sprzedaż Branica  
(27)
Działki na sprzedaż Kamień  
(26)
Działki na sprzedaż Myszków  
(26)
Działki na sprzedaż Wiązowna  
(26)
Działki na sprzedaż Będzin  
(25)
Działki na sprzedaż Kłodzko  
(24)
Działki na sprzedaż Elbląg  
(24)
Działki na sprzedaż Kamienna Góra  
(23)
Działki na sprzedaż Osowiec  
(23)
Działki na sprzedaż Kobyłka  
(23)
Działki na sprzedaż Ełk  
(23)
Działki na sprzedaż Goleszów  
(22)
Działki na sprzedaż Chrzanów Mały  
(22)
Działki na sprzedaż Szczecinek  
(21)
Działki na sprzedaż Mstów  
(21)
Działki na sprzedaż Legionowo  
(20)
Działki na sprzedaż Mogilany  
(20)
Działki na sprzedaż Lubieszewo  
(20)
Działki na sprzedaż Sosnówka  
(19)
Działki na sprzedaż Stanisławów  
(19)
Działki na sprzedaż Gościno  
(19)
Działki na sprzedaż Zabór  
(18)
Działki na sprzedaż Szczodrowo  
(18)
Działki na sprzedaż Morawica  
(17)
Działki na sprzedaż Strzeniówka  
(17)
Działki na sprzedaż Brzoza  
(16)
Działki na sprzedaż Dalików  
(16)
Działki na sprzedaż Motycz  
(16)
Działki na sprzedaż Łeba  
(15)
Działki na sprzedaż Kopnica  
(15)
Działki na sprzedaż Słone  
(15)
Działki na sprzedaż Skorzewo  
(15)
Działki na sprzedaż Bolesławiec  
(15)
Działki na sprzedaż Nieporęt  
(15)
Działki na sprzedaż Konikowo  
(15)
Działki na sprzedaż Brzeźno  
(14)
Działki na sprzedaż Glincz  
(14)
Działki na sprzedaż Dobrzyniewo Duże  
(14)
Działki na sprzedaż Koronowo  
(14)
Działki na sprzedaż Ostrów Wielkopolski  
(14)
Działki na sprzedaż Laski  
(14)
Działki na sprzedaż Żywiec  
(14)
Działki na sprzedaż Bochnia  
(14)
Działki na sprzedaż Jeszkowice  
(14)
Działki na sprzedaż Płońsk  
(13)
Działki na sprzedaż Kolbudy  
(13)
Działki na sprzedaż Międzybrodzie Bialskie  
(13)
Działki na sprzedaż Grzebienisko  
(13)
Działki na sprzedaż Mikołajki  
(13)
Działki na sprzedaż Adamowice  
(13)
Działki na sprzedaż Zambrów  
(13)
Działki na sprzedaż Bolechowice  
(12)
Działki na sprzedaż Wałcz  
(12)
Działki na sprzedaż Bukowina Tatrzańska  
(12)
Działki na sprzedaż Osielsko  
(12)
Działki na sprzedaż Zabierzów  
(12)
Działki na sprzedaż Czersk  
(12)
Działki na sprzedaż Chodzież  
(12)
Działki na sprzedaż Białogard  
(12)
Działki na sprzedaż Michałkowa  
(12)
Działki na sprzedaż Patrzyków  
(12)
Działki na sprzedaż Charzyno  
(12)
Działki na sprzedaż Mierzeszyn  
(12)
Działki na sprzedaż Krępsko  
(12)
Działki na sprzedaż Nowa Wieś  
(12)
Działki na sprzedaż Wyszków  
(12)
Działki na sprzedaż Spręcowo  
(12)
Działki na sprzedaż Michałowice-Wieś  
(12)
Działki na sprzedaż Marszewo  
(11)
Działki na sprzedaż Tryszczyn  
(11)
Działki na sprzedaż Połchowo  
(11)
Działki na sprzedaż Barczewko  
(11)