Opis i cechy

Działka, Toruń, 1720 m²

Ogłoszeniodawca: Simple

Kontakt: Edyta Grzywińska Informacje szczegółowe

Typ działki: INWESTYCYJNADostępne od: 2026-03-09

Tytuł ogłoszenia: Działki inwestycyjne ,ul. Andersa , Stawki, Toruń

Nr oferty ogłoszeniodawcy: 517/14150/

OGSPow. działki: 1720.00 m²

Typ rynku: Wtórny

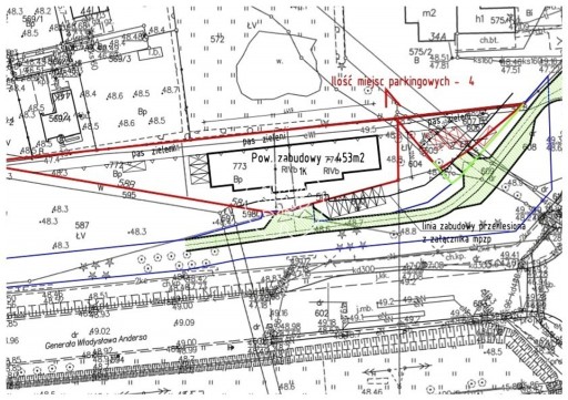
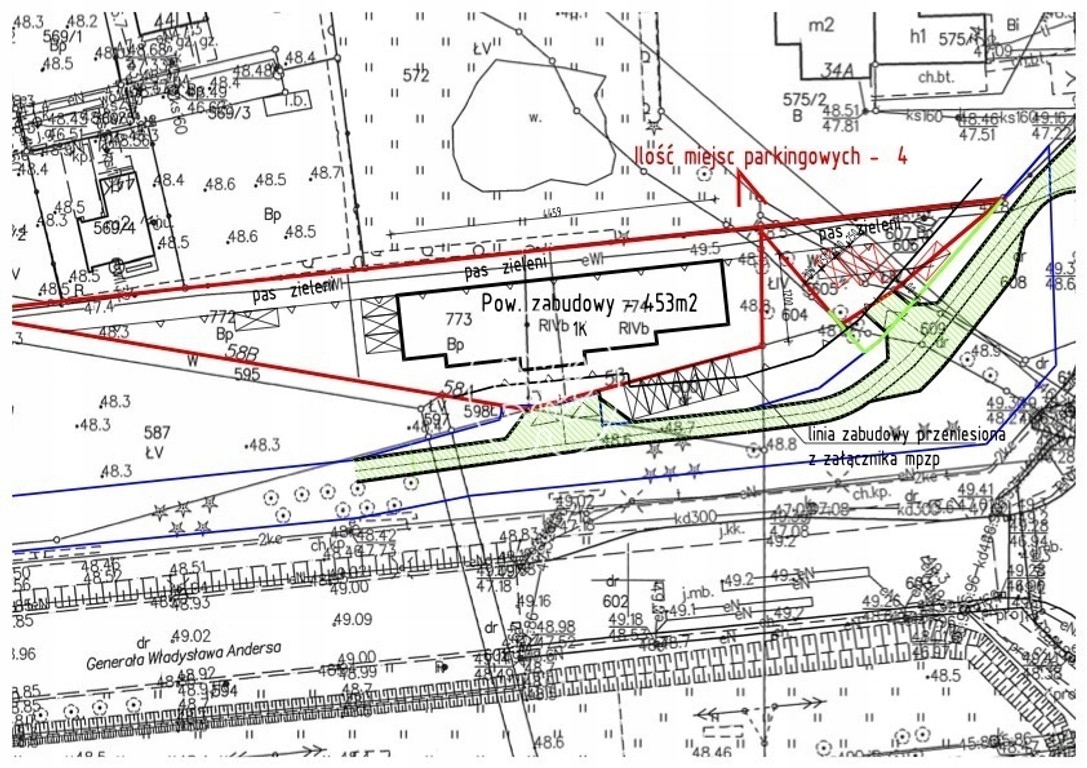
Udogodnieniadostęp do drogi (asfaltowa/betonowa) ATRAKCYJNE DZIAŁKI INWESTYCYJNE ul. Andersa , Stawki TYLKO U NAS - WYŁĄCZNOŚĆ Polecam atrakcyjne działki usługowo - inwestycyjne, położone w dynamicznie rozwijającej się części Torunia - na Stawkach przy ul. Andersa. Lokalizacja zapewnia szybki dojazd do każdej części miasta. Działki objęte są Miejscowym Planem Zagospodarowania Przestrzennego z przeznaczeniem pod usługi komercyjne, co czyni je idealną propozycją dla inwestorów i przedsiębiorców planujących budowę obiektów usługowych. Całość składa się z działek :działka nr 607 działka nr 772działka nr 773działka nr 774

Zakupu całości terenu o łącznej powierzchni 1720 m2. - 750 zł m2 WYJĄTKOWE USYTUOWANIE DZIAŁEK - UL. Kniaziewicza - Andersa

Najważniejsze informacje według MPZP pod usługi komercyjne:przeznaczenie: usługi komercyjnemaksymalna wysokość budynku: 10 m ponad poziom terenu,dach płaskimaksymalny wskaźnik powierzchni zabudowy 0,4 (110 m2 pow zabudowy)dopuszczalne drogi wewnętrzne, parkingi, zieleń urządzona, obiekty małej architektury i urządzenia infrastruktury technicznejbardzo dobry dojazd - przy drodze asfaltowej o dużym natężeniu ruchu12 miejsc postojowych na każde 1000 m2 powierzchni użytkowej usług

Dla nieruchomości została wydana decyzja dotycząca wjazdu z ul. Kniaziewicza. To doskonała propozycja dla inwestorów planujących budowę lokali usługowych , biur, punktów handlowych lub innych obiektów komercyjnych. Zapraszam do kontaktu oraz na prezentację nieruchomości.

Doradca d.s nieruchomości Edyta Grzywińska kom 577 707 385egrzywinska@grupasipmle.pl www.grupasimple.pl

Oferujemy bezpłatną pomoc w uzyskaniu kredytu na zakup nieruchomości. Wszystkie prezentacje są bezpłatne. Usługa pośrednictwa jest jest płatna w przypadku zakupu nieruchomości. Opis oferty jest na podstawie oględzin nieruchomości oraz informacji uzyskanych od właściciela , może podlegać aktualizacji . Powyższa oferta ma charakter informacyjny i nie stanowi oferty handlowej w rozumieniu Kodeksu Cywilnego. Oferta wysłana z programu dla biur nieruchomości ASARI CRM (asaricrm.com)

Lokalizacja:

Kraj: Polska

Wojewodztwo: Kujawsko-pomorskie

Miasto na prawach powiatu: Toruń(ref. A1541994458)

Powierzchnia 1720 m²
Cena za m² 750 zł
Droga dojazdowa asfaltowa lub betonowa
Typ działki handlowo-usługowa
Zgłoś naruszenie zasad
Oferta: 2561a7ea-148c-4ad8-b039-4cdd0ce9c72e

Podobne wyszukiwania

Działki na sprzedaż Warszawa  
(679)
Działki na sprzedaż Lublin  
(128)
Działki na sprzedaż Jaktorów  
(95)
Działki na sprzedaż Grodzisk Mazowiecki  
(81)
Działki na sprzedaż Kielce  
(75)
Działki na sprzedaż Sosnowiec  
(73)
Działki na sprzedaż Gliwice  
(72)
Działki na sprzedaż Ustroń  
(63)
Działki na sprzedaż Jelenia Góra  
(47)
Działki na sprzedaż Mysłowice  
(39)
Działki na sprzedaż Opole  
(36)
Działki na sprzedaż Świeradów-Zdrój  
(35)
Działki na sprzedaż Łochowo  
(33)
Działki na sprzedaż Zgierz  
(32)
Działki na sprzedaż Skierniewice  
(32)
Działki na sprzedaż Stargard  
(31)
Działki na sprzedaż Brwinów  
(30)
Działki na sprzedaż Branica  
(29)
Działki na sprzedaż Gryfice  
(28)
Działki na sprzedaż Harsz  
(28)
Działki na sprzedaż Osowiec  
(27)
Działki na sprzedaż Wiązowna  
(27)
Działki na sprzedaż Nowy Targ  
(26)
Działki na sprzedaż Tczew  
(26)
Działki na sprzedaż Kłodzko  
(25)
Działki na sprzedaż Mikołów  
(25)
Działki na sprzedaż Adamów-Wieś  
(25)
Działki na sprzedaż Kamień  
(25)
Działki na sprzedaż Ełk  
(24)
Działki na sprzedaż Myszków  
(24)
Działki na sprzedaż Kamienna Góra  
(23)
Działki na sprzedaż Tarnowo Podgórne  
(23)
Działki na sprzedaż Będzin  
(23)
Działki na sprzedaż Kobyłka  
(23)
Działki na sprzedaż Pępowo  
(23)
Działki na sprzedaż Elbląg  
(22)
Działki na sprzedaż Koronowo  
(21)
Działki na sprzedaż Lubieszewo  
(21)
Działki na sprzedaż Czarny Las  
(21)
Działki na sprzedaż Chrzanów Mały  
(21)
Działki na sprzedaż Mogilany  
(20)
Działki na sprzedaż Stegna  
(20)
Działki na sprzedaż Legionowo  
(19)
Działki na sprzedaż Ostrów Wielkopolski  
(19)
Działki na sprzedaż Gościno  
(19)
Działki na sprzedaż Sosnówka  
(19)
Działki na sprzedaż Bochnia  
(19)
Działki na sprzedaż Nieporęt  
(19)
Działki na sprzedaż Goleszów  
(18)
Działki na sprzedaż Zabór  
(18)
Działki na sprzedaż Morawica  
(18)
Działki na sprzedaż Świnoujście  
(17)
Działki na sprzedaż Szczecinek  
(17)
Działki na sprzedaż Szczodrowo  
(17)
Działki na sprzedaż Strzeniówka  
(17)
Działki na sprzedaż Stanisławów  
(17)
Działki na sprzedaż Motycz  
(16)
Działki na sprzedaż Grzebienisko  
(15)
Działki na sprzedaż Mikołajki  
(15)
Działki na sprzedaż Adamowice  
(15)
Działki na sprzedaż Kryg  
(15)
Działki na sprzedaż Skorzewo  
(15)
Działki na sprzedaż Kopnica  
(15)
Działki na sprzedaż Dobrzyniewo Duże  
(15)
Działki na sprzedaż Kowary  
(14)
Działki na sprzedaż Brzoza  
(14)
Działki na sprzedaż Mrzeżyno  
(14)
Działki na sprzedaż Jeszkowice  
(14)
Działki na sprzedaż Mstów  
(14)
Działki na sprzedaż Chodzież  
(14)
Działki na sprzedaż Głosków  
(14)
Działki na sprzedaż Żywiec  
(14)
Działki na sprzedaż Bukowina Tatrzańska  
(14)
Działki na sprzedaż Brzeźno  
(13)
Działki na sprzedaż Bolechowice  
(13)
Działki na sprzedaż Charzyno  
(13)
Działki na sprzedaż Łeba  
(13)
Działki na sprzedaż Wojkowice  
(13)
Działki na sprzedaż Zambrów  
(13)
Działki na sprzedaż Konikowo  
(13)
Działki na sprzedaż Kolbudy  
(12)
Działki na sprzedaż Tryszczyn  
(12)
Działki na sprzedaż Gowino  
(12)
Działki na sprzedaż Wałcz  
(12)
Działki na sprzedaż Zamość  
(12)
Działki na sprzedaż Dąbrówka Wielka  
(12)
Działki na sprzedaż Nowa Kiszewa  
(12)
Działki na sprzedaż Błachów  
(12)
Działki na sprzedaż Czersk  
(12)
Działki na sprzedaż Zaręby  
(12)
Działki na sprzedaż Michałkowa  
(12)
Działki na sprzedaż Krępsko  
(12)
Działki na sprzedaż Nowa Wieś  
(12)
Działki na sprzedaż Nowe Grochale  
(11)
Działki na sprzedaż Prądki  
(11)
Działki na sprzedaż Zabierzów  
(11)